En

Hjem

Info

Bækken og hofte (traume)

AP af bækken

Thumb d4doc formularer upload 2014 11 b c3 a6kken 20ligge 203 Thumb xray b%c3%a6kken

Lejring:
Liggende i rygleje. Hvis muligt med benene 15° indadroteret.

Rørkipning:
0°.

Centrering:
3 fingersbredder over symfysen.

Kriterier:
Crista iliaca, trochanter major og kringlerne skal fremstilles.

Bemærkning:
Der tages altid AP af bækken uden kalibreringskugle og et lavt bækken med kalibreringskugle mellem proximale femoris.



AP af hoften

Thumb mia hofte ap Thumb xray hofte ap uden kugle

Lejring:
Liggende i rygleje. Hvis muligt med benet 15° indadroteret.

Rørkipning:
0°.

Centrering:
På a. femoralis, svarende til midt på linjen mellem spina iliaca anterior superior og symfysen.

Kriterier:
Acetabulum, caput, trochanter major/minor skal fremstilles. Ledspalten skal være tydeligt fremstillet. Trabekeltegningen skal kunne ses tydeligt.



Axial

Thumb d4doc formularer upload 2014 11 axial 20hofte 3 Thumb d4doc formularer upload 2014 11 hofte 20axial 3

Lejring:
Liggende i rygleje, med raske ben flekteret ca. 90°. Crus understøttes af en benstøtte. Placer detektorplade ud for crista iliaca, ved den aktuelle hofte, i en vinkel på 45°. Den aktuelle hofte skal indadroteres ca. 15° hvis muligt.

Rørkipning:
Horisontal strålegang.

Centrering:
I lysken i niveau med caput femoris. Rør og detektorplade skal være parallelle.

Kriterier:
Ledspalten skal fremstilles.



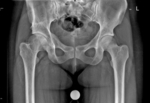
Lavt bækken med kalibreringskugle

Thumb 20241029 102036 Thumb list thumb b%c3%a6kken lavt med kugle xray

Lejring:
Liggende i rygleje med benene 15° indadroteret hvis muligt. Det er vigtigt at raske hofte indadroteres af hensyn til templating.

Rørkipning:
0°.

Centrering:
På symfysen.

Kriterier:
De proximale 10 - 15 cm af femur skal fremstilles.

Bemærkning:
Kalibreringskuglen placeres i niveau med trochanter major på indersiden af proksimale femur, så proximalt som muligt.